掲載日: 2025年10月15日更新

幼虫はバラ科の樹木(サクラ、ウメ、モモ)などを食し、特にモモを好みます。
幼虫期間は1~3年といわれており、幼虫は4~10月頃に樹木の内部を食し、大量のフラス(糞や木くず)を排出します。
成虫の発生時期は6~8月です。
メス成虫は、生涯に1匹あたり300個以上の卵を産むことができます。
成虫は約2Km飛翔し、自動車などに運ばれ長距離を移動することもあります。
![]()
幼虫はイヌエンジュ、エンジュなどを食します。主に夜間に交尾や産卵をおこないます。
造林地のイヌエンジュ、エンジュなどを食害し、用材としての価値を損ねます。
屋敷林や街路樹に用いられているイヌエンジュを食害し、景観を損ねます。
落枝や倒木による人身被害の原因となる場合もあります。

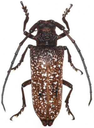
幼虫はニレ、ヤナギ、トチノキ、カツラ等々様々な種類の樹木を食します。(福島県内では、トチノキ、カツラを中心とした樹木の食害が顕著です)
在来種であるゴマダラカミキリに酷似しています。見分け方は胸部に白紋がある、ないで区別できます。前羽の根元の形や模様なども異なります。
もっと詳しい資料はこちら→
・可能な限り、見つけた成虫の捕殺、被害木の対策等にご協力ください。
・クビアカツヤカミキリについては、特に果樹への被害が確認されている種のため、放置せずにその場で捕殺いただくようご協力をお願いいたします。
※クビアカツヤカミキリ、ツヤハダゴマダラカミキリ、サビイロクワカミキリは、「特定外来生物」に指定されているため、生きたままの個体の移動が禁止されていますのでご注意ください。
・発見した場所または住所、個体の数、被害をうけた樹木の種類や本数等の情報を下記にご連絡ください。
※お写真の提供にご協力いただける場合も、下記あて送信ください。その際は、できるだけ特徴がよくわかり、ピントの合った個体全体の写真をお願いいたします。
連絡先 田村市環境課 電話 0247-81-2272 メールアドレス kankyo@city.tamura.lg.jp
福島県自然保護課 電話 024-521-7210 メールアドレス yasei@pref.fukushima.lg.jp
このページに関するお問い合わせ
環境課 環境衛生係
〒963-4393 福島県田村市船引町船引字畑添76番地2 電話番号:0247-81-2272